農地転用(5条届出)が必要です。





- 価格
- 1,150万円
- 種別
- 売地
-
- 所在地
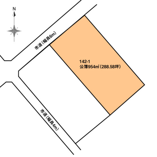
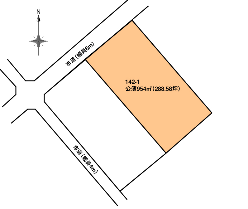
- 福島県郡山市水門町
- 交通
- JR東北新幹線 郡山駅 徒歩30分
物件詳細
| 駐車場 | 取引態様 | 専任 | |
|---|---|---|---|
| 引渡/入居時期 | 即時 | 現況 | 更地 |
| 地目 | 畑 | 用途地域 | 第一種住居 |
| 都市計画 | 市街化区域 | 地勢 | 平坦 |
| 土地面積 | 954m² | 土地面積計測方式 | 公簿 |
| 建ぺい率 | 60% | 容積率 | 200% |
| 土地権利 | 接道状況 | 一方 | |
| 接道方向1 | 北西 | 接道間口1 | |
| 接道種別1 | 公道 | 接道幅員1 | 6.0m |
| 周辺環境 |
郡山市立芳賀小学校 郡山市立第四中学校 セブンイレブン郡山芳賀3丁目店まで680m、業務スーパー郡山東店まで1,424m、はま寿司郡山芳賀店まで1,187m、尚志幼稚園まで1,242m、公益財団法人湯浅報恩会寿泉堂綜合病院まで2,405m、イオンタウン郡山まで1,530m |
||
| 設備・条件 | |||
| 物件番号 | |||
| 特記事項 | 宅地造成工事規制区域
埋蔵文化財包蔵地 洪水ハザードマップ 上下水道は前面道路に市本管埋設あり |
||
Loading...
※物件掲載内容と現況に相違がある場合は現況を優先と致します。
お問い合わせはこちらからお寄せください
お電話からのご予約・お問い合わせ
TEL024-983-5422
営業時間/10:00~18:00
定休日/日曜日・祝日・第1,3土曜日
免許番号/福島県知事(1)第3593号
WEBからのご予約・お問い合わせは、下記のフォームからお気軽にどうぞ







